0 12th Avenue, East Moline, IL 61244

$1,400,890
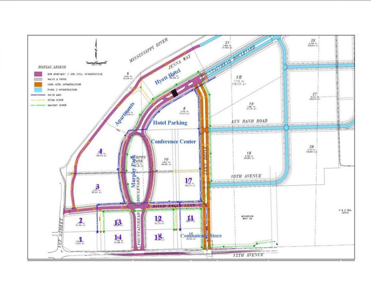
  • 0 12th Avenue, East Moline, IL 61244 Main Photo

3 Total Photos [Click to View All]

Active
LOT SIZE 5.370 acres MLS#QC7041974
STATUSActive PROPERTY TYPELand - Commercial

Property Description

0 12th Avenue | MLS# QC7041974

This land located at 0 12th Avenue, East Moline, IL 61244 is currently listed for sale with an asking price of $1,400,890. The property has approximately 5.37 Acres. Search East Moline real estate on www.bhhscrosby.com today.

Property Features

Property Type: Land - Commercial
Lot Size: 5.37 Acres
Taxes: $16,630

Feature Descriptions

Current Use: Commercial
Frontage Type: City Street
Parcel#: 08-26-404-020
Utilities: None, Water Nearby

Listed By / Shown By

Listed By

Agency Name: Mel Foster Co. Commercial
Agency Phone: 563-324-4488

IDX logo

Estimate Your Payment

Estimated Payment

$ 4,912.20 per month $3,117.77 Principal & Interest $1,385.83 Property Tax $408.59 Homeowner's Insurance

Change Payment Information

%
years/fixed
yearly
yearly (est.)
(Payments are an estimate and may vary by lender)

Login to My Homefinder

Pixel