Please Call For Address, Gridley, IL 61744

$31,000
  • Please Call For Address, Gridley, IL 61744 Main Photo

3 Total Photos [Click to View All]

Active
LOT SIZE 0.380 acres MLS#12512895
STATUSActive PROPERTY TYPELand - Residential SUBDIVISIONNot Applicable SCHOOLDistrict 11

Property Description

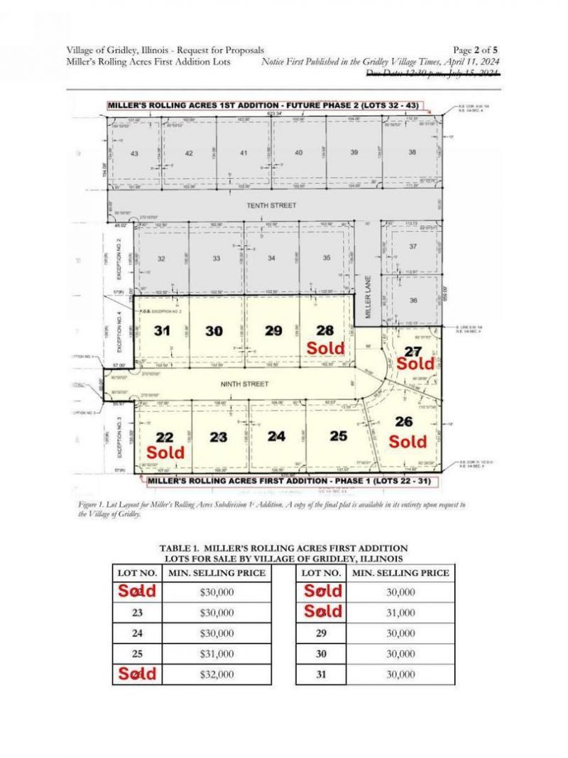
Lot 25: Over 1/3 Acre Lot available in new subdivision in NE Gridley - Miller's Rolling Acres First Addition. This is a great opportunity to build your custom dream home, using your favorite builder! Subdivision is located in the El Paso-Gridley School District with access to Village parks and public pool. Another amazing perk for the Village is golf carts are allowed within the city limits. All utilities are available to the building site. Call/Text George & Willow Gramm for more information and a tour of the Village of Gridley!

| MLS# 12512895

This land located at , Gridley, IL 61744 is currently listed for sale with an asking price of $31,000. The property has approximately 0.38 Acres. is located within the District 11 school district. Search Gridley real estate on www.bhhscrosby.com today.

Property Features

Property Type: Land - Residential
Lot Size: 0.38 Acres

Feature Descriptions

Current Use: Single Family
Days on Site: 116
Frontage: 105.6
Frontage Type: City Street
Lot Dimensions: 105.61 x 140.1 x 137 x 135
Parcel#: 0204260004
Road Surface: Asphalt
Township: Gridley
Utilities: Electric to Site, Natural Gas Available, Sewer Connected, Water Available

Local Schools

High School: El Paso-Gridley High School
Middle School: El Paso-Gridley Jr High School
Elementary School: Jefferson Park Elementary
School District: District 11

Listed By / Shown By

Listed By

Agency Name: RE/MAX Choice
Agency Phone: 309-664-8500

IDX logo

Estimate Your Payment

Estimated Payment

$ 78.03 per month $68.99 Principal & Interest $0.00 Property Tax (data not provided by mls) $9.04 Homeowner's Insurance

Change Payment Information

%
years/fixed
yearly
yearly (est.)
(Payments are an estimate and may vary by lender)

Login to My Homefinder

Pixel